Insightful Site Selection: Tools of the Trade
June 12, 2013
By Deborah Borfitz
June 13, 2013 | As clinical trial site feasibility assessments proved less fruitful than futile, software solutions emerged to add efficiency and visibility to the matchup process between trial and site. The tools are making feasibility surveys more targeted sends and, in some cases, eliminating the questionnaires entirely. Effortlessly identifying the best sites and investigators and more reliably predicting trial enrollment success is the common end game.
Underlying every site comparison product is the knowledge that even sites with access to many patients don’t necessarily house investigators interested and capable of doing a particular study. The idea is to “eliminate the chase” and “narrow the cone of uncertainty,” in the words of BioPharm Clinical’s Business Development Director Sean Melville. Most of the matchmaking tools are essentially databases mined by trial-planning sponsors and contract research organizations (CROs). But the latest entrant to this space, ViS Research, has a crowdsourced platform that works as a hybrid of Bloomberg and LinkedIn for trial planners and research sites.
Of the four site comparison products we examined, Citeline’s Sitetrove launched first in 2006 and is probably the most heavily utilized overall. Citeline’s customer base totals more than 500 organizations, including all the top pharmaceutical companies. Sitetrove maintains profiles on more than 300,000 trial-experienced investigators at over 140,000 sites globally, allowing trial planners to instantly find the most appropriate ones for them based on expertise, track record, potential capacity, recent trial experience, and geography. The web-based investigator and site selection service includes access to support from analysts with “deep therapeutic area knowledge,” says Sylvia Marecki, PhD, senior director of product management and strategy at Citeline.
Sitetrove is integrated with three other Citeline products – Trialtrove, Pipeline, and Trialpredict – and has more than 10,000 registered users, reports Marecki. Sitetrove is most closely aligned with Trialtrove, Citeline’s flagship trials database product with more than 63,000 unique users, and both can be subscribed to “al a carte” by disease module or therapeutic area. More than 180 indications are covered within eight broad therapeutic areas.
Unlike many companies that rely on web scraping to extract information from websites, Citeline taps well over 20,000 unique data sources and stitches them together via 250 staff analysts to provide clients “richer trial records and a more complete picture of drug development globally,” says Marecki. This translates into more accurate and complete views of site and investigator trial experience. Sitetrove site and investigator trial activity is drawn from connections to Trialtrove coverage of trials from planning through completion, she adds.
Using a “Watch” feature in Sitetrove, trial planners can monitor sites and investigators for changes in trial activity, says Marecki. If a trial moves from open to closed, for example, it may suggest a change in an investigator’s capacity to take on a new trial.
Lessons from Hindsight
Retrospective case studies form the basis of an “investigator prioritization” algorithm that is embedded in Sitetrove today, says Marecki. The functionality enables users to quickly prioritize search results into three tiers reflecting an investigator’s “level of fit”—as determined by availability, expertise, and recruitment experience—for a particular trial.
|
| Sitetrove's new results dashboard. |
One retrospective case study suggests that had Sitetrove been utilized for a recently completed global cardiovascular trial, selected by the sponsor for its enrollment success, 18% fewer sites would have been required for potential direct savings of over $4.7 million, says Marecki. In another retrospective analysis of a recently completed Type 2 diabetes trial, results indicate 19% fewer sites would have been needed to reach target enrollment using Sitetrove for more than $900,000 in potential direct savings.
Similarly, two case studies in oncology found a 20% and 22% reduction in sites needed. In all of these cases, says Marecki, actual site performance aligned well with Sitetrove’s investigator tiers.
Sitetrove User Speaks
INC Research is a big fan of Sitetrove and its sister products. During live trial testing two years ago, Sitetrove was selected over both BioPharm Clinical and Adis Clinical Trial Insight, says Travis Caudill, director of global feasibility and site identification for the CRO. Sitetrove’s advantage is the amount of detail in its database, notably trial segmentation by the disease subtype of patient populations (i.e. neoadjuvant triple-receptor negative breast cancer versus breast cancer). Sitetrove also shines in terms of timeliness of information about sites in emergent markets. The tradeoff in terminating a prior relationship with Adis was loss of some spiffy visualization tools. “I miss that functionality,” admits Caudill, “but with Sitetrove we get a broad spectrum of indications more aligned with our strategic vision.”
INC Research uses Sitetrove to assess country suitability in terms of market capacity relative to current competition, experience level of investigators, and number of sites available to participate in clinical trials. Once countries are identified, it uses Sitetrove to ensure it selects the best investigators and sites in those geographies. Citeline collaborates with INC Research to incorporate desired enhancements, including a means to identify key opinion leaders by indication and therapeutic area. “If we’re going to be the best CRO in the industry, we have to have the best tool,” says Caudill. “It has been a good investment for us.”
Turnkey Option
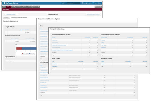
BioPharm Clinical launched next in 2008 and today is utilized by at least half of the top ten pharmaceutical companies and one third of the big CROs. Its database is even larger than Citeline’s and consists of 200,000 global trials, 150,000 clinical sites, and 450,000 investigators—plus a Study Advisor accessory for timeline and enrollment forecasting—but is sold as a package to meet all the “key needs” of clinical operations groups, says Melville. For study sponsors with diverse pipelines, its competitive advantage is economic. Former Citeline clients are especially appreciative of BioPharm Clinical’s “proactive” support team, he notes.
|
| BioPharm's Study Advisor offers recommended sites and investigators, as well as an overview of the competitive landscape. |
Typically, clients use BioPharm Clinical to identify investigators and sites they want to target after trial forecasting and geographic analysis, says Melville. The list of likely investigator candidates gets winnowed down based on best fit with clients’ selection criteria (i.e. proprietary “indication experience scores,” previous trial performance, patient enrolment record, FDA inspection deficiencies, and key opinion leader status). Site profiles further hone the list. The sponsor or CRO then sends out a single feasibility questionnaire to sites making the final cut.
BioPharm Clinical didn’t offer us any case studies, but its high renewal rate among life science clients (90% in 2012) is suggestive of their level of satisfaction with investment return, says Melville. A soon-to-come Site Survey Management tool is expected to be a “huge value added.”
BioPharm Clinical: Understated, Pragmatic
United Therapeutics, which specializes in drugs for pulmonary arterial hypertension, now has several internal groups happily using BioPharm Clinical, according to Hassan Movahhed, senior vice president of global development operations. The tool is used primarily by people in clinical and medical affairs to receive emailed updates on the changing status of various studies, based on their chosen search criteria. BioPharm Clinical also sends out notices when study results get published, which inform the design of new studies.
While BioPharm Clinical helps United Therapeutics match doctors to trials in the U.S., its own internal data sources are also used to identify potential clinical trialists, says Movahhed. For a large majority of phase III trials done outside the U.S., it either relies on CRO partners or works in partnership with various medical associations across Asia and Europe to identify investigators. None of the commercially available site comparison tools robustly house such information, he notes.
Interestingly, study monitors at United Therapeutics can use BioPharm Clinical to stay apprised of sites taking on new studies and investigators who are “spread thin.” The information impacts monitors’ approach and communication style, says Movahhed. On his wish list of enhancements to BioPharm Clinical is a means for sites to upload feasibility information for permission-based download by sponsors and CROs, reducing a lot of the repetitive and despised paperwork. Sites might well become customers if BioPharm Clinical utilized medical billing codes and prescription data to help them better assess their patient referral capabilities.
The clinical operations director at one leading pharmaceutical firm, which asked to remain unnamed, says BioPharm Clinical’s strength is that it “knows its place in the supply chain. It’s priced right and good enough.” This company also uses the significantly costlier Citeline products, but sporadically in certain therapeutic areas to confirm no sites were missed. “At the end of the day, all I need is a list of names and ways to contact them,” says our source. The analytic tools of ta-Scan weren’t a good option only because of all the pricey extras, he adds.
BioPharm Clinical is used by the company during trial planning to quickly “gut check” clinical site numbers, generally and by country, and later to have contact information on specific sites that will be sent a feasibility survey, reports the clinical operations director. The sponsor curates performance data on sites it has worked with previously, relying on BioPharm Clinical to pinpoint sites it does not yet know.
ViS: Working the Crowd
ViS Research came on the scene in 2010, completely upending the traditional site assessment process with its vision of abolishing feasibility surveys. Its web-based, open-access ViS Analytics platform launched, in beta form, early this year.
The collaborative, interactive platform combines publicly and privately obtained information that gets turned into geo-referenced, disease-specific analytics covering patient population, research infrastructure, and research activity from country to site level. Results get validated by local experts and integrated with crowdsourced input from research centers about their disease-specific capabilities, says CEO Fabio Thiers, MD, PhD. The platform is easy to navigate and serves as a social network where trial planners and research centers can securely communicate and share feasibility analytics with one another.
| |
| Activated sites and growth rate for centers doing research on mood disorder: positive growth rate in green, negative growth rate in red. |
As of May, several hundred pre-identified research centers had uploaded their disease-specific profiles onto ViS Analytics, says Thiers, noting it takes only seconds to register. “The profiles capture more than 90% of what normally gets asked on site feasibility questionnaires.” The other 10% can be had by joining the network and questioning sites directly. “Companies obtain and analyze information here that used to take six months to find.”
For sites, ViS “levels the playing field, reduces the paperwork that they hate now, and allows them to build a relationship with study planning teams,” says Thiers. Sites can also use ViS to connect with other sites internationally. “We’ve pre-mapped all trial collaborations that have been done in the last five years.” For many sites, their ViS profile acts as their main website.
Revenues are generated for ViS when trial sponsors and CRO seek specialized analytics across disease categories or a la carte per study program or geography. Three of the top ten pharmaceutical companies and a few of the top CROs are subscribers with dozens of internal users, says Thiers. ViS also has a few hundred additional users among smaller companies. The Biotechnology Industry Organization recently announced it would engage their members with ViS to improve the efficiency of clinical development for pediatric therapeutics.
The platform’s second version, due out this July, will allow for more advanced trial planning, says Thiers, by including new filters, analytics, and profiles for site networks, CROs, and other stakeholders. At a TEDMED conference in April, he estimated this new collaborative trial planning approach will reduce global clinical research spending by 10%-15%.
Jules Mitchel, president of CRO Target Health, says he is still assessing ViS Research but “optimistic” it will improve site feasibility assessment by making the most qualified sites easier to pinpoint. He intends to use the platform to “share [his] good experiences [with certain sites] and let people infer what they want about the rest.”
SiteOptimizer: In-House Knowledge Repository
Sponsors and CROs of all sizes are familiar with StudyOptimizer, the IMS Health product that uses history and predictive analytics to improve clinical trial enrollment. A companion product called SiteOptimizer formally launched in January that allows clients to mine a treasure trove of actual performance data to identify top-flight sites for subsequent trials. Embedded knowledge was gleaned from more than 1,000 SiteOptimizer-created trials conducted in 100-plus countries that involved 60,000-plus sites and investigators and cover 17 therapeutic areas, says Suresh Kannan, vice president of clinical trials optimization solutions. SiteOptimizer serves as a central repository of site information and solves the critical “trust issue” clients tend to have with subscription-based data-mining services.
|
| SiteOptimizer ranks sites based on configurable KPIs (such as past experience, enrollment rates, quality and cycle times). |
SiteOptimizer facilitates data slicing and dicing in numerous ways, including by therapeutic area, indication, geography, site, or investigator name, says Kannan. SiteOptimizer is “as easy [to use] as finding a flight from San Francisco to New York.” Results can be visualized by geographic distribution using a Google Map interface, or by performance based on an out-of-the-box grading formula or customized criteria selected and weighted by the study sponsor.
At companies where site selection is decentralized, SiteOptimizer accommodates the merging of identified sites and investigators from different countries with a log tracking who picked who—and why, says Kannan. The roster includes the projected number of patients each site and investigator can enroll, based on past enrollment in similar trials. Study teams can also opt to do their own modeling before making the site selection decision and sending out feasibility questionnaires.
As the new kid on the block, SiteOptimizer currently has one global pharmaceutical company on the client list, says Kannan. But many more customers are expected to jump on board in the months ahead as IMS continues to bring together several unique data assets and analytic insights into the product.






